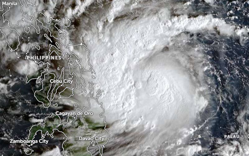
Filipina kembali dilanda amukan topan Kalmaegi, kali ini bernama Kalmaegi atau Topan Tino. Negara kepulauan ini memang dikenal sebagai salah satu wilayah yang paling sering dilintasi badai tropis di dunia. Letaknya yang berada di jalur Cincin Api Pasifik serta di kawasan Samudra Pasifik bagian barat menjadikannya sebagai “cikal bakal topan” tempat banyak badai terbentuk, sebelum nantinya akan bergerak menuju Asia Tenggara atau bahkan Tiongkok dan Jepang.
Presiden Filipina, Ferdinand Marcos Jr sebelumnya telah menetapkan status darurat bencana nasional pada Kamis, 06 November 2025 setelah topan tersebut mengamuk dan menyebabkan banjir dahsyat di wilayah Provinsi Cebu, Filipina.
Banjir tersebut datang setelah topan ini membawa hujan deras, dengan kecepatan 183 mm melebihi rata-rata hujan bulanan yang hanya 131 mm. Kemudian pasca topan berlalu hujan ini merendam seluruh kota, setidaknya ada 53 kota dan kabupaten yang dinyatakan status bencana.
Topan Kalmaegi Mengamuk Hantam Filipina

Dalam foto dan video yang beredar, suasana di Cebu tampak seperti kota yang tenggelam. Banjir lumpur melanda di mana-mana. Mobil-mobil dan berbagai benda yang tak berpasak terseret arus deras, menumpuk di jalan-jalan yang porak-poranda. Di tengah upaya evakuasi dan peninjauan bencana, duka bertambah ketika sebuah helikopter militer jatuh tak lama setelah lepas landas di Pulau Mindanao, menewaskan enam anggota militer yang tengah bertugas meninjau kerusakan akibat topan kalmaegi tersebut.
Dilaporkan oleh Kantor Pertahanan Sipil Nasional Filipina hingga Kamis, 06 November 2025 bahwa terdapat 114 orang yang meninggal dunia dan terus bertambah seiring dengan penambahan data terbaru yang terus disisir oleh pemerintah, selain itu lebih dari 500.000 warga mengungsi di posko-posko pengungsian.
Wilayah Cebu sepertinya dilanda bencana beruntun, setelah sebelumnya gempa bermagnitudo 6,9 mengguncang wilayah tersebut pada 30 September 2025, belum pulih keadaannya kini topan tino atau topan kalmaegi datang menambah kerentanan warga Cebu, kabar lanjutnya Presiden Filipina Ferdinand Marcos Jr. juga menghimbau warga untuk mengantisipasi datangnya Topan Fung-wong, atau Uwan, yang diperkirakan melanda akhir pekan ini.

Topan ini tercatat sebagai bencana paling mematikan di dunia sepanjang tahun 2025, berdasarkan data dari basis data bencana internasional EM-DAT. Sebelumnya Topan Trami yang melanda Filipina menempati peringkat ketiga bencana paling mematikan pada tahun sebelumnya, dengan 191 korban jiwa.
Baca juga: Topan Ragasa, Bencana yang Menghantam Asia Timur
Fenomena ini juga memperlihatkan bagaimana krisis iklim memperburuk intensitas dan dampak bencana alam, kini setiap topan bukan sekadar peristiwa cuaca ekstrem, tetapi juga dampak dari perubahan iklim global yang memperburuk kondisi iklim dan juga berdampak besar ke manusia.(Kori/Nugrah)






